Nacional
-
Se prevén 16 frentes fríos en México en lo que resta del año
El Servicio Meteorológico Nacional (SMN), dependiente de la Comisión Nacional del Agua (Conagua), informa que de acuerdo a la primera…
Leer más » -
Nuevo frente frío provocará lluvias en la frontera noreste de México
El Servicio Meteorológico Nacional (SMN) pronosticó que un nuevo frente frío se aproximará este miércoles a la frontera noreste del…
Leer más » -
Semarnat pide no usar desechables en visita a Playas
La Secretaría de Medio Ambiente y Recursos Naturales (Semarnat) lanzó un llamado a la población para no utilizar productos desechables…
Leer más » -
Los mexicanos toman cada vez más cerveza ‘light’: estudio
En México, al menos una de cada cinco cervezas que se comercializan son Light, un mercado que ha ampliado su…
Leer más » -
Pemex encuentra yacimiento de petróleo con reserva de 180 millones de barriles
Petróleos Mexicanos (Pemex) anunció este martes descubrimientos de petróleo crudo en aguas poco profundas del Golfo de México, que aportarán…
Leer más » -
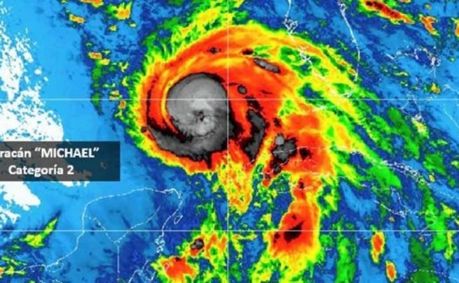
‘Michael’ se intensifica en el Golfo de México como categoría 2
El Huracán “Michael”, que se traslada por el Golfo de México hacia la costa estadunidense, fue elevado a categoría 2…
Leer más » -
‘Michael’ se convierte en huracán categoría 1 frente a Cozumel, Quintana Roo
La tormenta tropical ‘Michael’ se convirtió la mañana de este lunes en huracán categoría 1 en la escala Saffir-Simpson. El…
Leer más » -
Frente frío 4 se extenderá en el norte de México
El Servicio Meteorológico Nacional (SMN) reportó que el frente frío 4 se extenderá en el norte de México, lo que…
Leer más » -
AMLO dice estar abierto a analizar propuestas para legalizar cultivo de amapola
En Zacatecas, tras reunirse con el gobernador, Alejandro Tello, Andrés Manuel López Obrador, el presidente electo de México, se dijo…
Leer más » -
“Ni que austeridad republicana ni que ocho cuartos”, truena Fox contra AMLO
El expresidente Vicente Fox aseguró que no cambiará nada con la llegada al poder del próximo presidente Andrés Manuel López…
Leer más »